Rechercher :
L’herbiel de Gabriel
S.E.S.A - Flore du département de l’Aude
DICOTYLEDONES
MONOCOTYLEDONES
GYMNOSPERMES (Conifères...)
CRYPTOGAMES (Fougères...)
Département de l’Aude
A propos
Accueil
>
DICOTYLEDONES
>
Juglandaceae
>
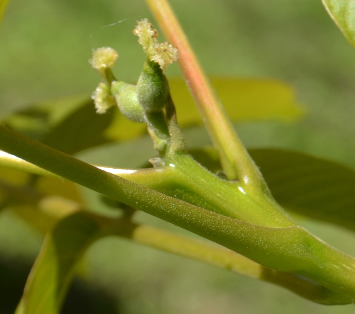
Juglans regia L.
Juglans regia
L.
Noms communs :
Noyer commun
Description :
Statut d’indigénat :
Naturalisé
Cliquez sur la miniature pour agrandir la photo
Plantes de la même famille
Juglans nigra
L.
Juglans regia
L.