Accueil > DICOTYLEDONES > Salicaceae > Salix atrocinerea Brot.
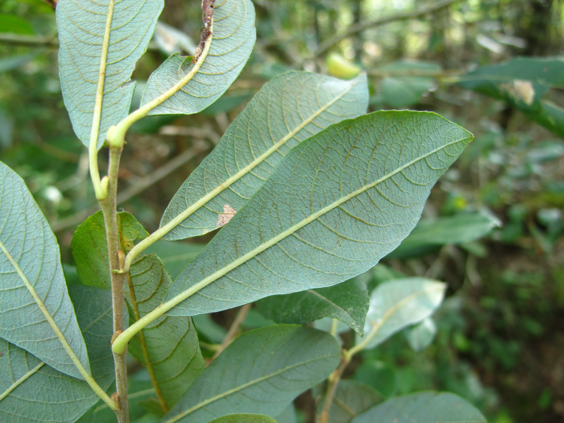
Salix atrocinerea Brot.
Noms communs : Saule gris cendré foncé, Saule acuminé, Saule roux
Description :
Plantes de la même famille
- Populus x canadensis Moench
- Populus x canescens (Aiton) Sm.
- Populus alba L.
- Populus nigra L.
- Populus tremula L.
- Salix alba L.
- Salix atrocinerea Brot.
- Salix aurita L.
- Salix babylonica L.
- Salix bicolor Willd.
- Salix caprea L.
- Salix cinerea L.
- Salix eleagnos Scop.
- Salix fragilis L.
- Salix herbacea L.
- Salix lapponum L.
- Salix pentandra L.
- Salix purpurea L.
- Salix pyrenaica Gouan
- Salix repens L.
- Salix reticulata L.
- Salix retusa L.
- Salix triandra L.
- Salix viminalis L.








